Unsere aktuellen Verkaufsangebote

Ausgewählte Immobilienobjekte zur Eigennutzung oder als Kapitalanlage finden Sie bei uns sowohl in der Metropolregion Hamburg als auch in Schleswig-Holstein und Niedersachsen. Damit sind Ihrem zukünftigen Lebensmittelpunkt oder Investment kaum Grenzen gesetzt.

Unsere Leidenschaft ist es, Ihnen Ihr neues Zuhause zu vermitteln. Dafür stehen wir Ihnen mit unserer langjährigen Erfahrung gerne zur Seite. Einen Überblick über unsere aktuellen Immobilien zum Kauf sehen Sie hier.

Idyllisches Baugrundstück in Feldrandlage!
Gammer Weg 18
21039 Hamburg / Altengamme
Objektart: Plot
Grundstücksfläche: 630 m²
Verkaufsstatus: OFFEN
Kaufpreis: 199.000,00 €

Druckversion
Vermarktungsart
Kauf
Objektart
Plot
Objekttyp
Live
Bebaubar nach
34_NACHBARSCHAFT
Grundstücksgröße
630 m²
Kaufpreis
199.000,00 €
Käufercourtage
7,14 % des Kaufpreises inkl. 19 % Ust.
Verfügbar ab
nach Absprache
Bebaubar nach
34_NACHBARSCHAFT
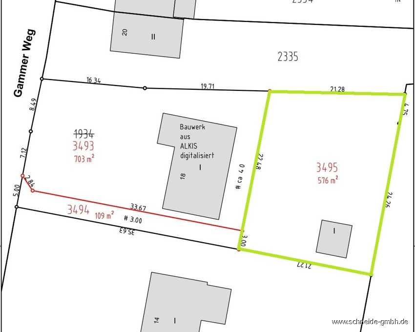
Im Verkäuferauftrag möchten wir Ihnen dieses ruhig gelegene Baugrundstück (Im Lageplan grün markiert und mit Flurstück 3495 bezeichnet) in Hamburg-Altengamme zum Kauf anbieten.
Das Baugrundstück, welches derzeit mit einer Doppel-Garage bebaut ist, befindet sich direkt angrenzend zu weitläufigen Flächen inmitten der grünen Natur. Das Grundstück wird real geteilt und besitzt eine Grundstücksgröße von 576m² zuzüglich 1/2 Anteil an der Auffahrt von ca. 54,5m².

Laut positivem Bauvorbescheid liegt das Grundstück im Geltungsbereich des § 34 BauGB. Eine Bebauung mit einem Einzelwohnhaus und einer Grundfläche von 120m² ist gemäß vorliegenden Vorbescheid möglich (siehe Lageplan).
Das Bauvorhaben muss sich nach Art und Maß der baulichen Nutzung, der Bauweise und der Grundstücksfläche, die überbaut werden soll, in die Eigenart der näheren Umgebung einfügen. Die genaue Lage des Wohnhauses ist im Baugenehmigungsverfahren zu klären.

Das Grundstück wird künftig über eine gemeinsame Zufahrt erschlossen.
Hierfür wird ein separates Flurstück (im Lageplan rot markiert und mit Flurstück 3494 bezeichnet, ca. 109m²) angelegt, an welchem Sie mit dem Erwerb einen Miteigentumsanteil von 1/2 erhalten. Miteigentümer dieser Fläche ist der Eigentümer des angrenzenden Einfamilienhauses. Die Instandhaltung und die Verkehrssicherung obliegen den jeweiligen Eigentümern im Verhältnis Ihrer Miteigentumsanteile.

Entscheiden Sie selbst und vereinbaren mit uns einen unverbindlichen Termin zur Besichtigung.

Wir freuen uns auf Ihre Anfrage!
Der Gammer Weg befindet sich im Hamburger Stadtteil Bergedorf-Altengamme, einem der grünsten und zugleich urban geprägten Bezirke der Hansestadt. Die Straße liegt in einem ruhigen, familienfreundlichen Wohngebiet mit überwiegend gepflegten Einfamilien- und Reihenhäusern. Die Umgebung zeichnet sich durch eine angenehme Nachbarschaft, großzügige Grundstücke sowie eine naturnahe Lage aus.

Trotz der ruhigen Wohnatmosphäre bietet der Standort eine gute Infrastruktur: Einkaufsmöglichkeiten des täglichen Bedarfs, Ärzte, Apotheken sowie die Grundschule befinden sich in 10 Minuten mit dem Auto entfernt. Die Hausarztpraxis befindet sich direkt gegenüber vom Grundstück. Das Bergedorfer Zentrum, mit einer Vielzahl an Geschäften, Cafés und Restaurants, ist in ca. 15 Minuten erreichbar. Auch das beliebte City Center Bergedorf (CCB) lädt zum entspannten Einkaufen und Verweilen ein.

Die Anbindung an den öffentlichen Nahverkehr ist gut: Mehrere Buslinien verkehren in der Nähe, und der Bahnhof Hamburg-Bergedorf ermöglicht eine schnelle Verbindung in die Hamburger Innenstadt – mit der S-Bahn benötigt man etwa 25 Minuten bis zum Hauptbahnhof. Für Autofahrer besteht ein direkter Anschluss an die B5 sowie die A25, wodurch sich auch die südlichen und östlichen Randlagen Hamburgs sowie das Umland gut erreichen lassen.

Besonders hervorzuheben ist die Nähe zu zahlreichen Grünflächen und Wäldern, die zu Spaziergängen, Radtouren und Freizeitaktivitäten im Grünen einladen. Auch die Elbe mit ihren idyllischen Uferbereichen ist nur wenige Gehminuten entfernt.
• Die Straße "Gammer Weg" ist endgültig hergestellt worden. Ein Anschluss an die öffentliche Versorgung für Strom, Gas, Wasser, Abwasser und Telefon ist möglich.

• Das Grundstück ist voll erschlossen. Etwaige Sielbaubeiträge sind weder offen noch verrentet.

• Die Kosten für den Abriss der Garage sowie die Kosten für neue Hausanschlüsse (z.B. Strom, Gas, Wasser u. Abwasser etc.) und eventuell anfallende Baukosten- u. Rohrnetzkostenzuschüsse sind vom Käufer zu tragen.

• Die Kosten der Grundstücksteilung gehen zu Lasten des Verkäufers.

• Das Grundbuch wird lastenfrei in Abteilung III. geliefert. In Abt. II. ist eine Dienstbarkeit eingetragen (Unterhaltung von Gräben). Näheres erläutern wir Ihnen gern auf Anfrage.

• Baulasten: Gemäß Auskunft aus dem Baulastenverzeichnis ist folgende Eintragung vorhanden:
Verpflichtung, zugunsten des Grundstücks -Gammer Weg 14 (Nachbargrundstück)- den Betrieb einer Abwasserleitung zu dem auf dem Grundstück befindlichen Sammelschacht zu dulden. Aufgrund der beabsichtigten Grundstücksteilung wird eine weitere Eintragung notwendig sein (Näheres erläutern wir Ihnen gern auf Nachfrage).

• Altlasten: Gemäß Auskunft aus dem Altlastenhinweiskataster sind keine Eintragungen vorhanden.

• Übergabe nach Absprache.

• Kaufnebenkosten: Die Grunderwerbssteuer (5,5 % des Kaufpreises) & Notar- und Gerichtskosten (ca. 1,6 % des Kaufpreises) sind vom Käufer zu tragen.

• Dieses Immobilienangebot ist provisionspflichtig für den Käufer. Bei Abschluss eines notariellen Kaufvertrags zahlt der Käufer eine Maklercourtage von 7,14 % des Kaufpreises (inkl. gesetzlicher Umsatzsteuer). Die Zahlung erfolgt an die Firma Norbert Schneide Immobilien, die einen direkten Anspruch auf diese Beträge gegenüber den Vertragspartnern hat.

Für weitere Informationen stehen wir Ihnen vorab gern zur Verfügung.

Ihr Ansprechpartner

Jana Schütz

Verkauf | Vermietung

+49 (0)40 790 277 23-15

schuetz@schneide-gmbh.de

Norbert Schneide Immobilien

Kirchwerder Landweg 1

21037 Hamburg

Telefon: 040 – 790 277 23-0

Telefax: 040 – 723 239 3

Ihre Sofort-Anfrage

Kontaktdaten

Datenschutzhinweis

Allgemeine Geschäftsbedingungen

```